[Skip to content] [Skip to main navigation] [Skip to secondary content] [Skip to quick links] [Go to accessibility information]

to go home page Museum logo
Menu
  • Home
  • de László
  • Catalogue
  • Archive
  • Exhibitions
  • Support us
  • About us
  • Global search
  • Introduction to the Archive
  • The Archive
  • de László Films
  • Film Archive
  • The British Library: National Life Stories
  • Previous
  • See list
  • Next
095-0177 de Laszlo Archive © de Laszlo Foundation

095-0177

28/02/1924

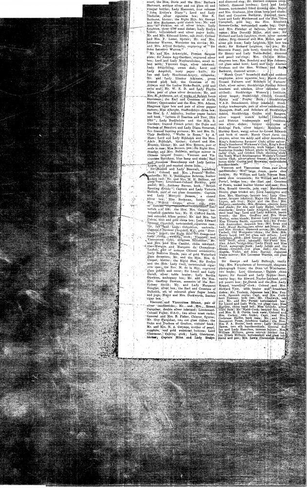
Morning Post. The wedding of Lord Apsley and Miss Meeking at St Paul's, Knightsbridge. A huge gathering reported; the de Lászlós were in attendance. A portrait of Lady Apsley, to be painted by de László [3534], listed amongst the presents received by Lord Apsley

Accession number
095-0177
Type
Press cutting
Location
Public Collection, National Portrait Gallery, London

All pages

Miscellaneous Press Cuttings 1924, 095-0177 Miscellaneous Press Cuttings 1924, 095-0177 Miscellaneous Press Cuttings 1924, 095-0177
See all
  • 095-0177

    Miscellaneous Press Cuttings 1924, 095-0177
  • 095-0177

    Miscellaneous Press Cuttings 1924, 095-0177
  • 095-0177

    Miscellaneous Press Cuttings 1924, 095-0177
  • 095-0177

    Miscellaneous Press Cuttings 1924, 095-0177
View as PDF
  • 095-0177-3 6 MB .pdf

Related works

Apsley, Violet Bathurst, Lady, née Violet Emily Mildred Meeking / 3534

Apsley, Violet Bathurst, Lady, née Violet Emily Mildred Meeking / 3534

1924
The de Laszlo Archive Trust

5 Albany Courtyard, Piccadilly
London, W1J OHF

© 2016-2026. All rights reserved.

Languages
  • Welcome
  • Üdvözöljük
  • Bienvenue
  • Willkommen
  • Bienvenidos
  • Benvenuti
  • Dobrodošli
Links
  • Contact Us
  • Terms & Conditions
  • Accessibility
  • Web Credits
  • Cookies
  • Privacy Policy